Red De Drenaje Pluvial
Método del Road Research Laboratory Diseñar la red de alcantarillado pluvial con el Método del Road Research Laboratory RRL señalada en la figura 51 la cual está constituida por una serie de colectores cabecera paralelos que aportan a una red principal. Como consecuencia de la actividad urbanizadora los cauces naturales que conformaban la red hidrográfica original suelen ser.

Operacion De Red De Alcantarillado Pluvial By Rocio Solis
Existen tambin sistemas separativos parciales o pseudo-separativos en los que en situaciones excepcionales se admiten la ligacin de aguas pluviales de.
Red de drenaje pluvial. A el cálculo de la red de drenaje de aguas pluviales se ha seguido el método racional la red para permitir el alivio d e los caudale el pleno d esarrollo de las instalacio caudal aportado por cada cuenca vert sto el caudal viene dado pola fórmula. Brasilia 33-35 2-Estado actual y diagnóstico 21-. Diseño de una red de alcantarillado pluvial 51. Análisis numérico de la red de drenaje pluvial de la urb. Angamos Tesis para optar el Título de. El ayuntamiento de Tlaxcala a través de la Dirección de Servicios Públicos puso en marcha el Programa de Limpieza de la Red de Drenaje Pluvial en la capital consistente en acciones de desazolve y limpieza de alcantarillas pluviales en diferentes puntos de la ciudad con el propósito de evitar inundaciones ante la cercanía de la temporada de lluvias.
El edil comisionado en Drenaje y Alcantarillado apuntó que la única línea de drenaje pluvial con la que cuenta la ciudad es la que corre desde el Barrio de las Flores por la avenida Álvaro Obregón cruza la avenida Independencia y continúa por las calles Ferrocarril y Rodríguez Cano hasta desembocar en la zanja que viene del Oro Verde. De pluviales generados en los parterres y terrizos únicamente se plantean actuaciones en la red de drenaje urbano en el parterre U03 C Martínez Izquierdo esquina CLuis Calvo y en el parterre G17 Av. A partir del 2002 la entonces administración estatal decidió invertir los ingresos propios generados por la Institución en la construcción de una red que asciende a 167 kilómetros de pluviales con una. El trazo de una red de alcantarillado se inicia con la definición del sitio o de los. 6 TIRANTES DE ESCURRIMIENTO Las vialidades en el proyecto tienen bombeos laterales del 2 la cuneta formada entre la vialidad y la guarnición tiene una forma de pecho paloma. DRENAJE DE AGUAS PLUVIALES El desarrollo urbano altera sustancialmente la hidrología de las cuencas donde se produce.
Una red de alcantarillado pluvial es un sistema de tuberías sumideros e instalaciones complementarias que permite el rápido desalojo de las aguas de lluvia para evitar posibles molestias e incluso daños materiales y humanos debido a su acumulación o escurrimiento superficial. Parte de la red es unitaria y la otra separativa. La mayor parte de esta agua no cae directamente en los cauces fluviales y los lagos sino que se infiltra en el suelo capa superior no consolidada del terreno y desde. Diseño y verificación de redes de drenaje pluvial empleando diferentes técnicas de modelación matemática articuladas en una estrategia adaptada a condiciones de la ciudad de Luanda para el diseño de este tipo de sistemas y su aplicación en el barrio Marçal como caso de estudio. En muchas localidades no se realiza la diferenciación entre drenaje sanitario y pluvial y todo el material recolectado es concentrado al mismo destino. En particular se modifican la red de drenaje y el proceso de transfor-mación lluvia-escorrentía.
El 16 de agosto de 2000 el Congreso amplía las atribuciones de SADM incluida la prestación del servicio de drenaje pluvial. Los vientos dominantes provienen del Norte. Características básicas de dimensionamiento de la red de saneamiento y drenaje de aguas pluviales. Trazo de la red de alcantarillado pluvial Por razones de economía el trazo de una red de alcantarillado debe tender a ser una réplica subterránea del drenaje superficial natural. En geomorfología la red de drenaje se refiere a la red natural de transporte gravitacional de agua sedimento o contaminantes formada por ríos lagos y flujos subterráneos alimentados por la lluvia o la nieve fundida. 360 Coeficiente de uniformidad.
Analizar el funcionamiento de una red de alcantarillado pluvial. De très nombreux exemples de phrases traduites contenant red de drenaje pluvial Dictionnaire français-espagnol et moteur de recherche de traductions françaises. Resumen de redes de drenaje pluviales. Hoja 2000 - Clase6 - Drenaje Sanitario. El sistema será separativo siempre que haya posibilidad de vertido a cauces públicos o a red general que sea igualmente separativa. El escurrimiento debe ser por gravedad excepto en aquellas zonas donde sea necesario el bombeo.
Los meses de máxima incidencia de lluvia son de Julio a. DISEÑO DE UNA RED DE DRENAJE PLUVIAL by Alan Valadez. Por las pendientes y los gastos presentados se utilizara una tubería de 45 mm 18 para toda la red de drenaje pluvial. Proyecto Ejecutivo para Red de Drenaje Sanitario en San José de Llanos. Domiciliarias de agua potable y el drenaje de aguas residuales y pluviales. La precipitación pluvial media anual es de 697 milímetros anuales.
4 Asegurar que las instalaciones sanitarias en edificaciones residenciales comerciales institucionales o industriales no degraden la calidad del agua potable abastecida por la red pública de servicio. Drenaje pluvial Se conoce con este nombre al sistema de drenaje que conduce el agua de lluvia a lugares donde se organiza su aprovechamiento. Es el sistema o red que recolecta y conduce las aguas pluviales que escurren en su gran mayoría sobre la ciudad y zona metropolitana disponiéndolas en estructuras de infiltración filtración retención detención yo conduciéndolas mediante canales o tuberías hasta descargar a los cuerpos de agua naturales existentes. Rudy Rolandy Granda Acha.
Sursă Natura Jefuirea Tuberia Para Agua Pluvial Asohfrut Com

Diseno Del Sistema De Alcantarillado Pluvial Con Dren Urba Hidrasoftware
Ads Mexicana Conoces Nuestro Tubo Para Drenaje Pluvial Stormtite En Este Post Te Ensenamos Sus Caracteristicas Su Funcionamiento Y Las Normas Que Cumple Para Que Lo Apliques En Tu Proyecto Adsmexicana

Como Realizar El Diseno Del Sistema De Drenaje De Aguas Pluviales Con Dren Urba 2 0 Hidrasoftware
Sursă Natura Jefuirea Tuberia Para Agua Pluvial Asohfrut Com
Modelacion Matematica Como Estrategia Para El Diseno De Redes De Drenaje Pluvial Urbano Document Gale Onefile Informe Academico

Sistema De Drenaje Pluvial Como Nos Ayuda Plaremesa

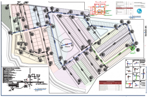
Red De Alcantarillado Pluvial De La Zona De Estudio Download Scientific Diagram
Red De Drenaje Sanitario Red De Agua Potable Y Red De Drenaje Pluvial En Vistas De La Huerta Icaam



Posting Komentar untuk "Red De Drenaje Pluvial"